Skip To Content

140 N L St

Needles, CA 92363
  • $65,000
  • STATUS: Active
  • ON SITE: 169 Days
  • MLS #: 25582101
UPDATED: 37 min ago
$65,000
  • 0
    BEDS
  • 0.36
    ACRES
  • 0
    BATHS
  • 0
    1/2 BATHS
Neighborhood:
Type:
Vacant Land / Lots
County:
Area:

School Ratings & Info

Description

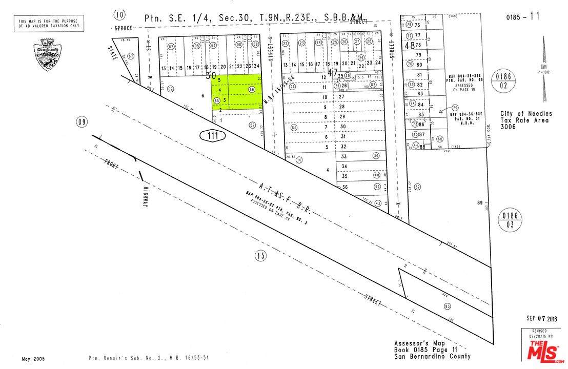
Fantastic opportunity to develop in a prime location near the Colorado River. This offering includes two adjacent parcels being sold together for a total of approximately 15,750 square feet (APN 0185-111-66 at 10,500 sqft and APN 0185-111-65 at 5,250 sqft). Zoned R3, this property allows for multi-family development with up to 30 units per acre, per city planning. Manufactured homes may also be allowed - buyer to verify with city planning. Located within one mile of the Colorado River, Rivers Edge Golf Course, and a public boat launch, this site is ideal for a personal desert retreat, Airbnb investment, or multi-unit development. The city has stated that utilities and sewer are available at the street. Easy access to major highways adds further convenience. Financing is available. Interested buyers are strongly encouraged to verify all aspects of the property, including but not limited to zoning, utilities, water, sewer, building requirements, and permitted uses. Contact listing agent for additional details.

Monthly Payment Calculator



Based on information from the Combined LA/Westside Multiple Listing Service as of 2026-02-08T08:42:43.967. All data, including all measurements and calculations of area, is obtained from various sources and has not been, and will not be, verified by broker or MLS. All information should be independently reviewed and verified for accuracy. Properties may or may not be listed by the office/agent presenting the information.
www.desertarealuxuryhomes.com/homes/167248586
Print Image

140 N L St Needles, CA 92363

  • Price: $65,000
  • Status: Active
  • On Site: 169 Days
  • Updated: 37 min ago
  • MLS #: 25582101
0
Beds
0
Baths
0
½ Baths
0.36
Acres
Neighborhood:
Needles
County:
San Bernardino
Area:
Needles
Property Description
Fantastic opportunity to develop in a prime location near the Colorado River. This offering includes two adjacent parcels being sold together for a total of approximately 15,750 square feet (APN 0185-111-66 at 10,500 sqft and APN 0185-111-65 at 5,250 sqft). Zoned R3, this property allows for multi-family development with up to 30 units per acre, per city planning. Manufactured homes may also be allowed - buyer to verify with city planning. Located within one mile of the Colorado River, Rivers Edge Golf Course, and a public boat launch, this site is ideal for a personal desert retreat, Airbnb investment, or multi-unit development. The city has stated that utilities and sewer are available at the street. Easy access to major highways adds further convenience. Financing is available. Interested buyers are strongly encouraged to verify all aspects of the property, including but not limited to zoning, utilities, water, sewer, building requirements, and permitted uses. Contact listing agent for additional details.
Exterior Features

Cross Streets Needles Hwy Lot Description Lot Shape-RectangularStreet AsphaltSingle LotUtilities - OverheadLot-Level/FlatStreet Paved Lot Location City Lot Size Area 15750 Road Frontage Paved-Asphalt Topography Flat View Description None View YN No

Property Features

Cable YN Yes Disclosures Property Report Electric In Street Gas In Street Potential Usage Residential Multi-unitSingle Family Residence + ADUManufactured Home. Public Street YN True Sale Type Standard Sewer In Street Site Description City Source Lot Size Area Assessor Source Lot Size Dimensions Assessor Water In StreetPublic Zoning R3

Listing provided courtesy of Fernando Lara DRE#01120697 of Brokers Trust Real Estate Group: 818-571-9712.


Based on information from the Combined LA/Westside Multiple Listing Service as of 2026-02-08T08:42:43.967. All data, including all measurements and calculations of area, is obtained from various sources and has not been, and will not be, verified by broker or MLS. All information should be independently reviewed and verified for accuracy. Properties may or may not be listed by the office/agent presenting the information.
 
https://bt-photos.global.ssl.fastly.net/carets/orig_boomver_1_25582101-2.jpg https://bt-photos.global.ssl.fastly.net/carets/orig_boomver_1_25582101-2.jpg https://bt-photos.global.ssl.fastly.net/carets/orig_boomver_1_25582101-2.jpg
Logo
The Sandi Phillips Team | Compass
74199 El Paseo, Suite 200
Palm Desert CA, 92260