Skip To Content

2420 N Bushrod Ln

Los Angeles, CA 90077
  • $49,000
  • STATUS: Active
  • ON SITE: 275 Days
  • MLS #: 25536903
UPDATED: 31 min ago
$49,000
  • 0
    BEDS
  • N/A
    ACRES
  • 0
    BATHS
  • 0
    1/2 BATHS
Neighborhood:
Type:
Vacant Land / Lots
County:

School Ratings & Info

Description

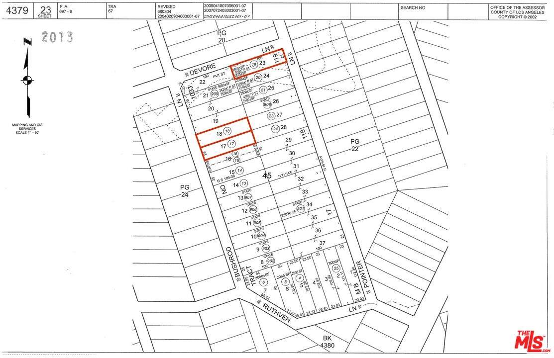
APN 4379-023-017, 018, & 019. Unique opportunity to acquire three lots sold together in prime Bel Air, totaling appx 7,523 SF and zoned LARE40. Two of the lots are contiguous, totaling 5,014 SF, while the third lot (appx 2,509 SF) is located nearby. Situated in one of Los Angeles' most sought-after neighborhoods, these lots offer a tranquil setting just a short drive from Sunset Boulevard, with easy access to Beverly Hills, West LA, Century City, and Brentwood. Please note: these are paper street lots, meaning they currently do not have direct road access. To develop, a buyer would need to pave a road from the nearest access point on Bushrod Lane to the property. Ideal for a visionary investor or builder looking to secure a foothold in Bel Air with long-term potential.

Monthly Payment Calculator



Based on information from the Combined LA/Westside Multiple Listing Service as of 2026-02-09T09:42:24.943. All data, including all measurements and calculations of area, is obtained from various sources and has not been, and will not be, verified by broker or MLS. All information should be independently reviewed and verified for accuracy. Properties may or may not be listed by the office/agent presenting the information.
www.desertarealuxuryhomes.com/homes/163592627
Print Image

2420 N Bushrod Ln Los Angeles, CA 90077

  • Price: $49,000
  • Status: Active
  • On Site: 275 Days
  • Updated: 31 min ago
  • MLS #: 25536903
0
Beds
0
Baths
0
½ Baths
N/A
Acres
Neighborhood:
Bel Air - Holmby Hills
County:
Los Angeles
Area:
Bel Air - Holmby Hills
Property Description
APN 4379-023-017, 018, & 019. Unique opportunity to acquire three lots sold together in prime Bel Air, totaling appx 7,523 SF and zoned LARE40. Two of the lots are contiguous, totaling 5,014 SF, while the third lot (appx 2,509 SF) is located nearby. Situated in one of Los Angeles' most sought-after neighborhoods, these lots offer a tranquil setting just a short drive from Sunset Boulevard, with easy access to Beverly Hills, West LA, Century City, and Brentwood. Please note: these are paper street lots, meaning they currently do not have direct road access. To develop, a buyer would need to pave a road from the nearest access point on Bushrod Lane to the property. Ideal for a visionary investor or builder looking to secure a foothold in Bel Air with long-term potential.
Exterior Features

Lot Description 2-4 Lots Lot Size Area 7523 View Description Canyon View YN Yes

Property Features

Cable YN No Disclosures None Sale Type Standard Site Description CanyonHillside Source Lot Size Area Assessor Street Lights YN False Zoning LARE40

Listing provided courtesy of Shawn S. Kormondy DRE#01451888 of Keller Williams Beverly Hills: 310-432-6400.


Based on information from the Combined LA/Westside Multiple Listing Service as of 2026-02-09T09:42:24.943. All data, including all measurements and calculations of area, is obtained from various sources and has not been, and will not be, verified by broker or MLS. All information should be independently reviewed and verified for accuracy. Properties may or may not be listed by the office/agent presenting the information.
 
https://bt-photos.global.ssl.fastly.net/carets/orig_boomver_1_25536903-2.jpg https://bt-photos.global.ssl.fastly.net/carets/orig_boomver_1_25536903-2.jpg
Logo
The Sandi Phillips Team | Compass
74199 El Paseo, Suite 200
Palm Desert CA, 92260